ชี้เป้าที่ดิน 5 จว.ในข่ายถูกเรียกคืน รองรับเขต ศก.พิเศษชายแดน "บิ๊กตู่"
"...ในกรณีที่เอกชนมีกรรมสิทธิ์หรือสิทธิครอบครองในที่ดินแปลงใดที่อยู่ภายในแนวเขตที่ดินตามแผนที่ อันเป็นเหตุให้ที่ดินที่ตกเป็นที่ราชพัสดุ มีพื้นที่ไม่ต่อเนื่องเป็นผืนเดียวกันหรือมีลักษณะไม่สามารถใช้ให้เกิดประโยชน์สูงสุดได้ คณะกรรมการมีอำนาจสั่งให้หน่วยงานที่เกี่ยวข้องดำเนินการนำที่ดินอันเป็นที่ราชพัสดุดังกล่าวแลกเปลี่ยนกับที่ดินของเอกชนรายนั้นได้ตามหลักเกณฑ์และเงื่อนไขที่คณะกรรมการกำหนด และในกรณีจำเป็นเพื่อประโยชน์แก่ทางราชการจะสั่งให้ชดใช้เงินให้แทนการแลกเปลี่ยนที่ดินทั้งหมดหรือบางส่วนก็ได้.."

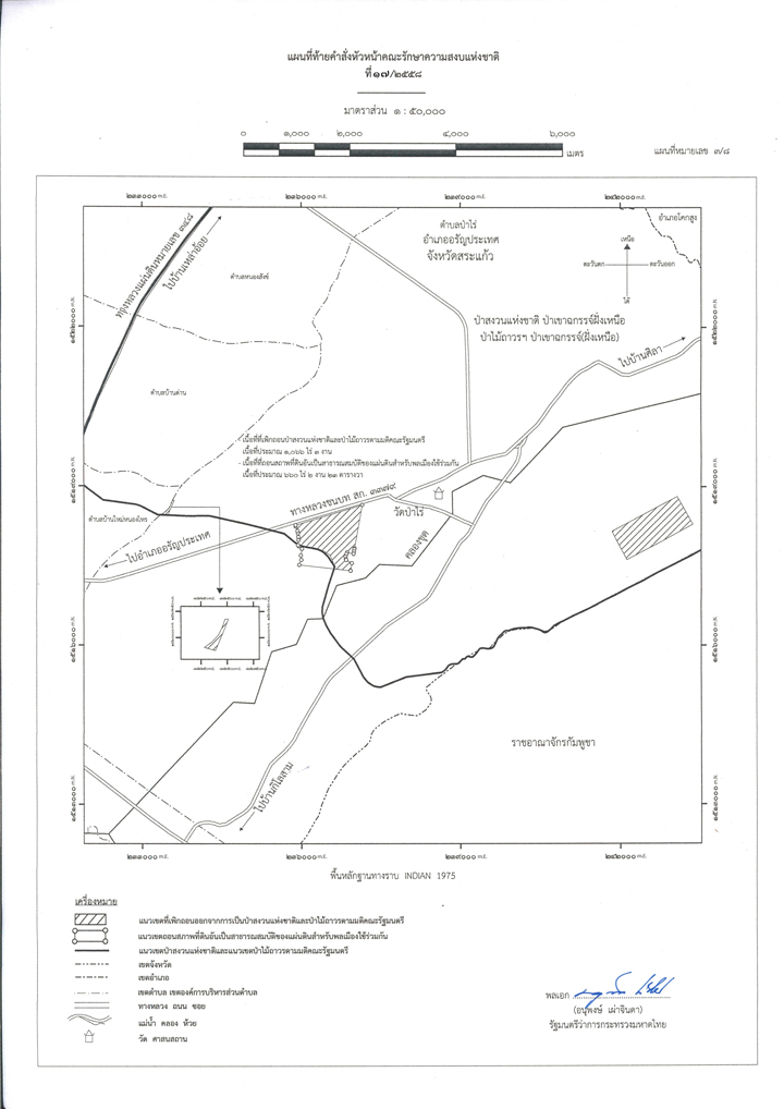
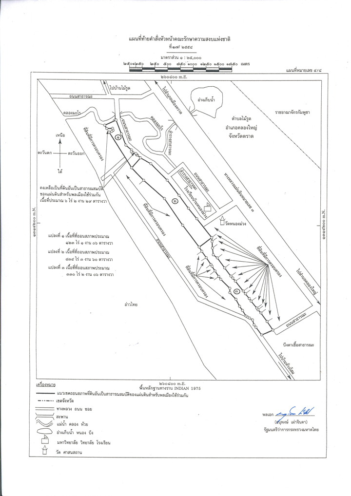
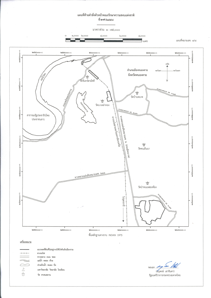
หมายเหตุ สำนักข่าวอิศรา www.isranews.org : ในแนบท้ายประกาศคำสั่งหัวหน้าคณะรักษาความสงบแห่งชาติ ที่ 17/2558 เรื่อง การจัดหาที่ดินเพื่อใช้ประโยชน์ในเขตพัฒนาเศรษฐกิจพิเศษ ซึ่งมีเป้าหมายสำคัญในการใช้อำนาจ มาตรา 44 ในการกำหนดให้ที่ดินในพื้นที่ 5 จังหวัด คือ จ.ตาก มุกดาหาร สระแก้ว ตราด หนองคาย เป็นที่ราชพัสดุเพื่อนำมาพัฒนาประกาศเป็นเศรษฐกิจพิเศษ มีการเผยแพร่ภาพถ่ายพื้นที่ ที่อยู่ในเป้าหมายการดำเนินการเรื่องนี้ ไว้ชัดเจน
โดยระบุขั้นตอนการดำเนินงาน นำที่ดินเหล่านี้มาพัฒนาไว้อย่างเป็นขั้นเป็นตอน อาทิ
-ในกรณีที่เอกชนมีกรรมสิทธิ์หรือสิทธิครอบครองในที่ดินแปลงใดที่อยู่ภายในแนวเขตที่ดินตามแผนที่ อันเป็นเหตุให้ที่ดินที่ตกเป็นที่ราชพัสดุ มีพื้นที่ไม่ต่อเนื่องเป็นผืนเดียวกันหรือมีลักษณะไม่สามารถใช้ให้เกิดประโยชน์สูงสุดได้ คณะกรรมการมีอำนาจสั่งให้หน่วยงานที่เกี่ยวข้องดำเนินการนำที่ดินอันเป็นที่ราชพัสดุดังกล่าวแลกเปลี่ยนกับที่ดินของเอกชนรายนั้นได้ตามหลักเกณฑ์และเงื่อนไขที่คณะกรรมการกำหนด และในกรณีจำเป็นเพื่อประโยชน์แก่ทางราชการจะสั่งให้ชดใช้เงินให้แทนการแลกเปลี่ยนที่ดินทั้งหมดหรือบางส่วนก็ได้เอกชนตามวรรคหนึ่งให้หมายความรวมถึงวัดและรัฐวิสาหกิจด้วยที่ดินที่ได้มาตามวรรคหนึ่งให้ตกเป็นที่ราชพัสดุ
-ในการใช้ประโยชน์ที่ดิน หรือที่ราชพัสดุอื่นในพื้นที่พัฒนา ให้กรมธนารักษ์จัดให้หน่วยงานของรัฐใช้ประโยชน์ หรือจัดให้การนิคมอุตสาหกรรมแห่งประเทศไทย หน่วยงานอื่นของรัฐหรือเอกชนเช่าเพื่อใช้เป็นพื้นที่พัฒนา ตามระยะเวลา หลักเกณฑ์ วิธีการ และเงื่อนไข รวมทั้งอัตราค่าเช่าที่คณะกรรมการกำหนดระยะเวลาการเช่าตามวรรคหนึ่งต้องไม่น้อยกว่าคราวละห้าสิบปี และอาจต่อสัญญาอีกได้ตามหลักเกณฑ์และเงื่อนไขที่คณะกรรมการกำหนดตามวรรคหนึ่ง โดยมิให้นำมาตรา 540 แห่งประมวลกฎหมายแพ่งและพาณิชย์มาใช้บังคับการให้เช่าตามวรรคหนึ่งไม่ถือเป็นการร่วมลงทุนตามกฎหมายว่าด้วยการให้เอกชนร่วมลงทุนในกิจการของรัฐให้นำความในวรรคหนึ่ง วรรคสอง และวรรคสาม มาใช้บังคับกับที่ดินที่มิใช่เป็นที่ราชพัสดุด้วยโดยอนุโลม
-ผู้เช่าที่ดิน มีสิทธินำไปให้เช่าช่วงหรือนำไปหาประโยชน์ตามวัตถุประสงค์ได้และบรรดาสิ่งปลูกสร้างใด ๆ ที่ผู้เช่าหรือผู้เช่าช่วงได้ปลูกสร้างขึ้น ให้ตกเป็นกรรมสิทธิ์ของผู้เช่าหรือผู้เช่าช่วงเว้นแต่เป็นสิ่งปลูกสร้างที่ทำขึ้นเพื่อประโยชน์สาธารณะ
(อ่านประกอบ : "ประยุทธ์"ออกคำสั่งด่วน!เพิกถอนที่ดิน 5 จว.รองรับเขตเศรษฐกิจพิเศษชายแดน)
นับจากบรรทัดนี้ไป เป็นภาพถ่ายพื้นที่ในพื้นที่ 5 จังหวัด ที่อยู่ในเป้าหมายการประกาศเขตพัฒนาเศรษฐกิจพิเศษ ตามประกาศคำสั่งหัวหน้าคณะรักษาความสงบแห่งชาติ ที่ 17/2558 เรื่อง การจัดหาที่ดินเพื่อใช้ประโยชน์ในเขตพัฒนาเศรษฐกิจพิเศษ
-------------








ส่วนเหตุผลว่าทำไมเป็นต้องพื้นที่เหล่านี้? เหมาะสมอย่างไร? คงต้องรอให้ พล.อ.ประยุทธ์ ชี้แจงอย่างเป็นทางการอีกครั้ง!
