แพร่ทางการ! เปิดแนวเวนคืนที่ดินสร้างรถไฟฟ้า บางใหญ่-ราษฎร์บูรณะ-บางซื่อ
ราชกิจจานุเบกษาเผยแพร่ พ.ร.บ.เวนคืนที่ดินสร้างรถไฟฟ้า บางใหญ่-ราษฎร์บูรณะ-บางซื่อ ครอบคลุมพื้นที่ อ.บางใหญ่-อ.เมืองนนทบุรี-เขตบางซื่อ

ผู้สื่อข่าวสำนักข่าวอิศรา www.isranews.org รายงานว่า ราชกิจจานุเบกษาเผยแพร่ พ.ร.บ.เวนคืนอสังหาริมทรัพย์เพื่อสร้างกิจการรถไฟฟ้า โครงการรถไฟฟ้าสายสีม่วง บางใหญ่ – ราษฎร์บูรณะ ช่วงบางใหญ่ – บางซื่อ ในท้องที่อําเภอบางบัวทอง อําเภอบางใหญ่ อําเภอเมืองนนทบุรี จังหวัดนนทบุรี และเขตบางซื่อ กรุงเทพมหานคร พ.ศ. 2559
พ.ร.บ.ดังกล่าว ระบุว่า พระบาทสมเด็จพระปรมินทรมหาภูมิพลอดุลยเดช มีพระบรมราชโองการโปรดเกล้าฯ
ให้ประกาศว่า โดยที่เป็นการสมควรให้เวนคืนอสังหาริมทรัพย์ เพื่อสร้างกิจการรถไฟฟ้า โครงการรถไฟฟ้าสายสีม่วง บางใหญ่ – ราษฎร์บูรณะ ช่วงบางใหญ่ – บางซื่อ ในท้องที่อําเภอบางบัวทอง อําเภอบางใหญ่ อําเภอเมืองนนทบุรี จังหวัดนนทบุรี และเขตบางซื่อ กรุงเทพมหานคร
จึงทรงพระกรุณาโปรดเกล้าฯ ให้ตราพระราชบัญญัติขึ้นไว้โดยคําแนะนําและยินยอมของสภานิติบัญญัติแห่งชาติ ดังต่อไปนี้
มาตรา 1 พระราชบัญญัตินี้เรียกว่า “พระราชบัญญัติเวนคืนอสังหาริมทรัพย์ เพื่อสร้างกิจการรถไฟฟ้า โครงการรถไฟฟ้าสายสีม่วง บางใหญ่ – ราษฎร์บูรณะ ช่วงบางใหญ่ – บางซื่อ ในท้องที่ อําเภอบางบัวทอง อําเภอบางใหญ่ อําเภอเมืองนนทบุรี จังหวัดนนทบุรี และเขตบางซื่อ กรุงเทพมหานครพ.ศ. 2559”
มาตรา 2 พระราชบัญญัตินี้ให้ใช้บังคับตั้งแต่วันถัดจากวันประกาศในราชกิจจานุเบกษา เป็นต้นไป
มาตรา 3 ให้ผู้ว่าการการรถไฟฟ้าขนส่งมวลชนแห่งประเทศไทยเป็นเจ้าหน้าที่เวนคืนตามพระราชบัญญัตินี้
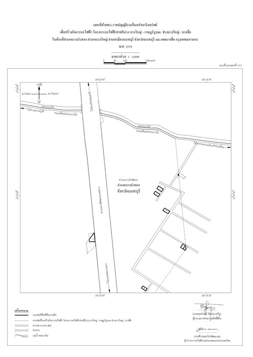
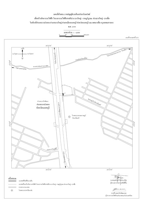
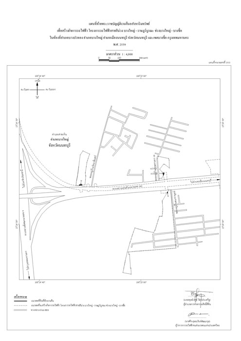
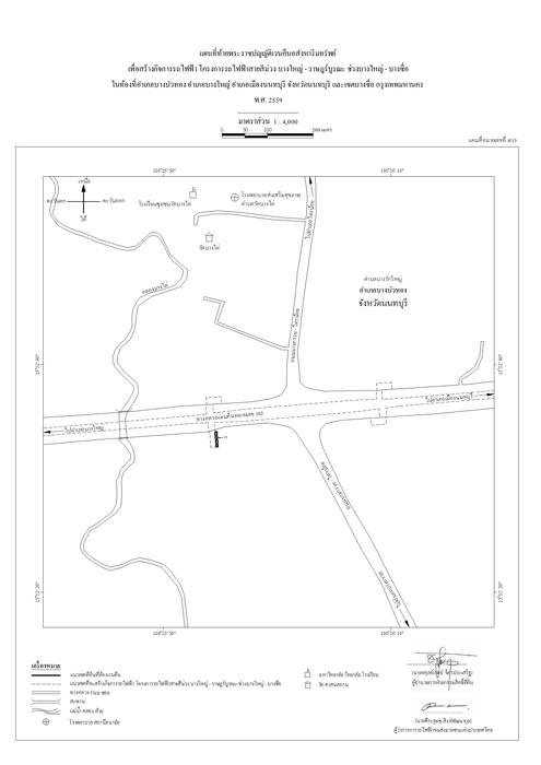
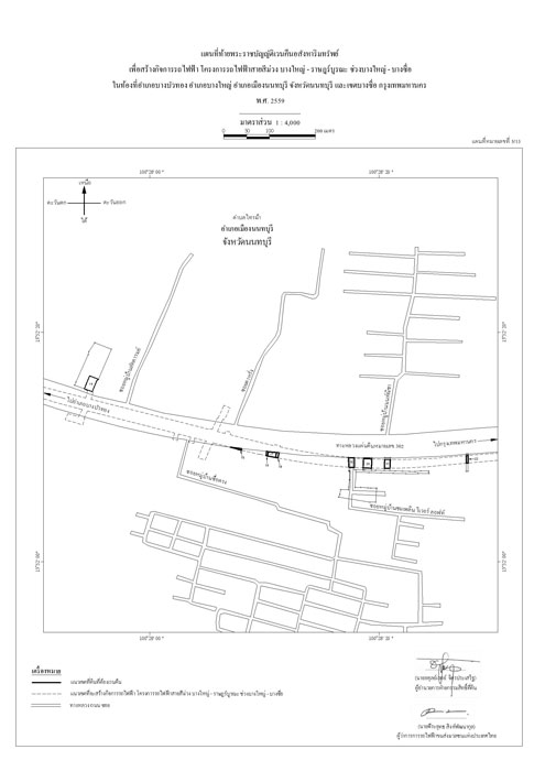
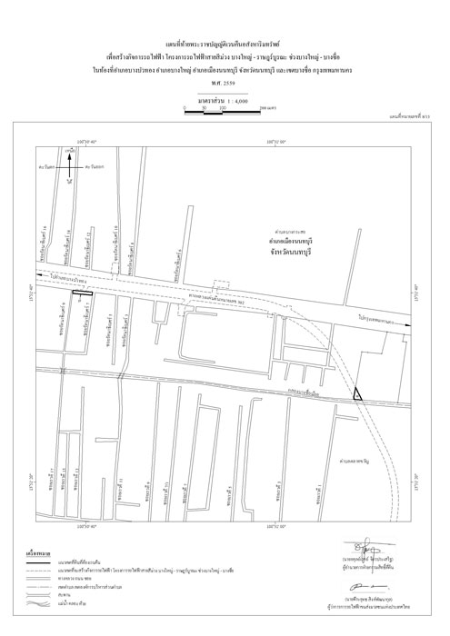
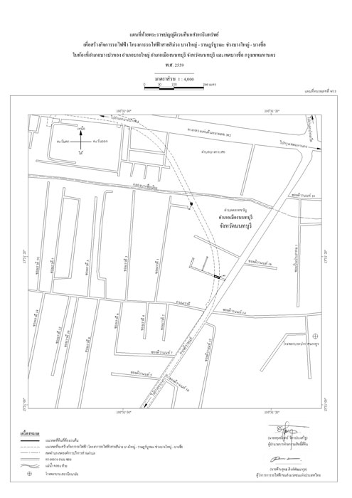
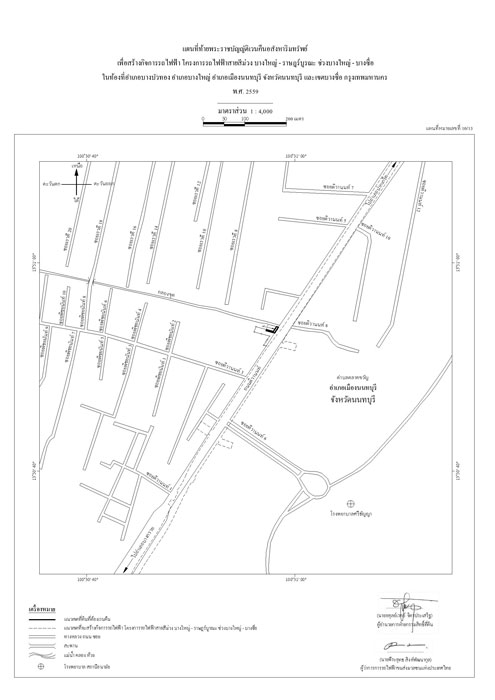
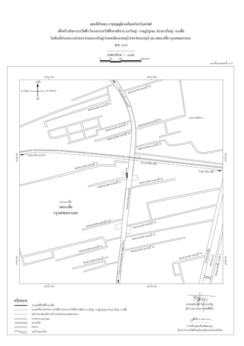
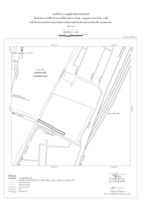
มาตรา 4 ให้เวนคืนอสังหาริมทรัพย์ ในท้องที่อําเภอบางบัวทอง อําเภอบางใหญ่ อําเภอเมืองนนทบุรี จังหวัดนนทบุรี และเขตบางซื่อ กรุงเทพมหานคร ภายในแนวเขตตามแผนที่ท้ายพระราชบัญญัตินี้ ซึ่งปรากฏรายชื่อเจ้าของหรือผู้ครอบครองโดยชอบด้วยกฎหมายตามบัญชีท้ายพระราชบัญญัตินี้ ให้แก่การรถไฟฟ้าขนส่งมวลชนแห่งประเทศไทย เพื่อสร้างกิจการรถไฟฟ้าโครงการรถไฟฟ้าสายสีม่วง บางใหญ่ – ราษฎร์บูรณะ ช่วงบางใหญ่ – บางซื่อ
มาตรา 5 ให้เจ้าหน้าที่เวนคืนเข้าใช้อสังหาริมทรัพย์ที่เวนคืนตามมาตรา 4 ภายในระยะเวลาสี่ปีนับแต่วันที่พระราชบัญญัตินี้ใช้บังคับ
มาตรา 6 ให้รัฐมนตรีว่าการกระทรวงคมนาคมรักษาการตามพระราชบัญญัตินี้
ผู้รับสนองพระบรมราชโองการ
พลเอก ประยุทธ์ จันทร์โอชา
นายกรัฐมนตรี
สำหรับเหตุผลในการประกาศใช้พระราชบัญญัติฉบับนี้ คือ เนื่องจากการรถไฟฟ้าขนส่งมวลชนแห่งประเทศไทย ได้ทําการสํารวจที่ที่จะต้องเวนคืนเพื่อสร้างกิจการรถไฟฟ้า โครงการรถไฟฟ้าสายสีม่วง บางใหญ่ – ราษฎร์บูรณะ ช่วงบางใหญ่ - บางซื่อ ตามพระราชกฤษฎีกากําหนดเขตที่ดินในบริเวณที่ที่จะเวนคืน ในท้องที่อําเภอบางบัวทอง อําเภอบางใหญ่ อําเภอเมืองนนทบุรี จังหวัดนนทบุรี และเขตบางซื่อ กรุงเทพมหานคร พ.ศ. ๒๕๕๒ เสร็จแล้ว สมควรเวนคืนอสังหาริมทรัพย์ดังกล่าวต่อไป จึงจําเป็นต้องตราพระราชบัญญัติน
(ดูภาพประกอบ)
















ดูรายละเอียดฉบับเต็ม : http://www.ratchakitcha.soc.go.th/DATA/PDF/2559/A/038/20.PDF
